LOT
29
A one-bedroom second-floor apartment well located approximately 0.6 miles from L...
*Guide Price | £60,000+ (plus fees)
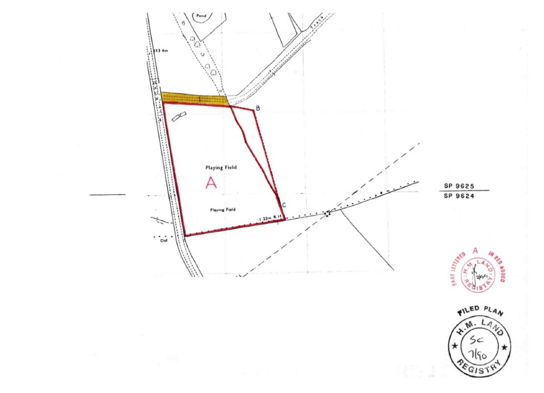
A level, grassed parcel of land extending to approximately 4.6 acres, featuring a single‑storey brick building and a dedicated car park.
Located on the outskirts of Eggington, Leighton Buzzard, this flat and well‑maintained parcel of land extends to approximately 4.6 acres and benefits from direct road frontage with access via double metal gates. Formerly the long‑standing home of Eggington Foresters Cricket Club, the site includes a tarmac vehicle access and parking areas, fenced and hedged boundaries, and the land has a regular, rectangular shaped layout.
The brick‑built clubhouse, understood to date from the late 1960s, provides around 2,000 sq. ft. of accommodation, including a full‑length covered veranda, main club/bar area, kitchen, two dressing rooms, ladies’ and gents’ toilets, umpire room and a storage room. There is also a garage/store located by the car park. A driveway to the side of the main entrance provides shared access to the rear of the cricket ground.
What3Words:
///speaking.include.sometimes
Freehold
We are Selling on behalf of the Trustees, and the Trustees have advised us that no pre-auction offers will be accepted, and the lot will only be sold in the auction on 25th February 2026.
We are aware of cracks to some walls internally and to some external brickwork.
TBC
VAT is not applicable
Central Bedfordshire Council
0300 300 8301
Interested parties are requested to make their own enquiries to the relevant authorities as to the availability of services.
There is no Buyer's Premium payable on this lot.
Please see the legal pack for any disbursements listed that may become payable by the purchaser on completion.
Purchasers will be required to pay an administration fee of £1,500 incl. VAT
12:00pm
Delta Marriott Hotel Timbold Drive, Milton Keynes, Buckinghamshire MK7 6HL
These are open house viewings, you do not need to make an appointment you can simply attend between the published times.
This site is protected by reCAPTCHA and the Google Privacy Policy and Terms of Service apply.
Price Information
*Guides are provided as an indication of each seller’s minimum expectation. They are not necessarily figures which a property will sell for and may change at any time prior to the auction. Each property will be offered subject to a Reserve (a figure below which the Auctioneer cannot sell the property during the auction) which we expect will be set within the Guide Range or no more than 10% above a single figure Guide.
Additional Fees Information
Please be aware there may be additional fees payable on top of the final sale price. These include and are not limited to administration charges and buyer’s premium fees payable on exchange, and disbursements payable on completion. Please ensure you check the property information page for a list of any relevant additional fees as well as reading the legal pack for any disbursements.








